SIGN UP LOGIN

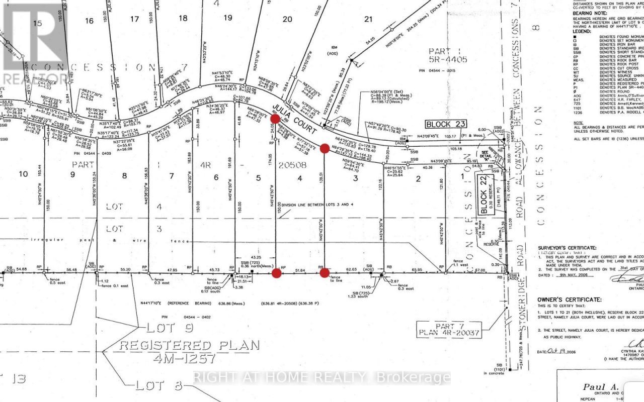
1041 Julia Court , Ottawa, ON K0A1T0

$399,000
  • Main Photo

3 Total Photos [Click to View All]

New to the Market Active
LOT SIZE 204.3 x 570.29 FT MLS#X12947600
STATUSActive PROPERTY TYPELand - Commercial

Property Description

Looking for the perfect spot to build your dream home? Check out this awesome approx. 2-acre residential lot in the charming community of Dunrobin Shore! With about 204 feet of frontage and a depth of around 570 feet, there's plenty of space to bring your vision to life. Whether you want a cozy retreat or a spacious family haven, this land offers tons of possibilities. You are just a short drive from convenient general stores and markets, ensuring your daily needs are easily met. Families will appreciate the proximity to local schools, and outdoor enthusiasts will love being minutes away from Dunrobin Shores Park, perfect for morning walks or enjoying the fresh air. Enjoy the peaceful surroundings and create your ideal living space in a friendly neighbourhood. Start planning your custom build today! (id:52350)

1041 Julia Court | MLS# X12947600

This land located at 1041 Julia Court , Ottawa, ON is currently listed for sale with an asking price of $399,000. The property has approximately 204.3 x 570.29 FT Acres.

Property Features

Property Type: Land - Commercial
Lot Size: 204.3 x 570.29 FT
Taxes: $1,164

Feature Descriptions

Board Association: Ottawa Real Estate Board
Days on Site: 3
Features: Irregular lot size
Lot Dimensions: 204.3 x 570.29 FT
Property Sub Type: Vacant Land
Utilities: Electricity

Listed By / Shown By

Listed By

Agency Name: RIGHT AT HOME REALTY
Agency Phone: 613-369-5199

Shown By

Agent Name: Bhuvana Harendra
Agent Phone:
Agency Title: Solid Rock Realty Inc

IDX logo

Estimate Your Payment

Estimated Payment

$ 1,101.38 per month $888.00 Principal & Interest $97.00 Property Tax $116.38 Homeowner's Insurance

Change Payment Information

%
years/fixed
yearly
yearly (est.)
(Payments are an estimate and may vary by lender)

Login to My Homefinder

Pixel